
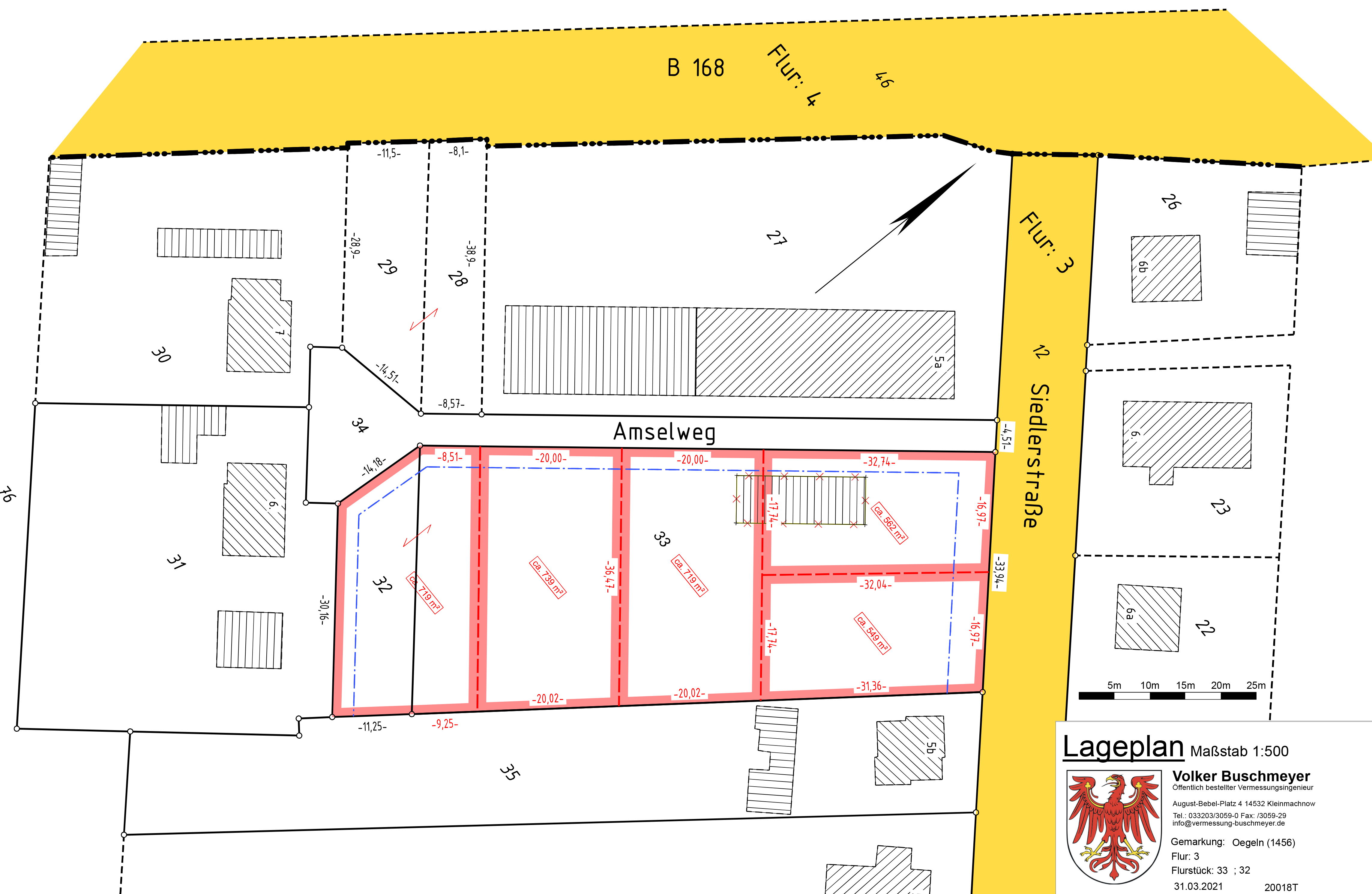
Baugrundstück
Oegeln
Details rund um das Baugrundstück Oegeln

Das angebotene Grundstück befindet sich in guter Wohnlage der Stadt Beeskow. Umgeben von Wiesen, Wäldern und einigen Seen, fallen Sie fast aus der Haustür in die Natur.
Die Stadt liegt rund 70 Kilometer südlich/östlich der Berliner Stadtgrenze und ungefähr 30 Kilometer südlich von Fürstenwalde.
Über den im Zentrum befindlichen Regio-Bahnhof erreichen Sie in ca. 55 Minuten Königs Wusterhausen und haben von da S-/Regio-Bahn Anschluss an Berlin. Und in ca. 35 Minuten erreichen Sie Frankfurt/Oder,
Zur Autobahn A12 in Fürstenwalde benötigen Sie ca. 25 Minuten mit dem Auto, und nochmals ca. 25 Minuten bis zur Stadtgrenze von Berlin.
Sie finden alles was Sie zum Leben benötigen im Ort: Kita´s, Schulen, Ärzte, Krankenhaus, Einkaufscentren, Sportvereine uvm..
Fahren Sie mal hin!
Sollten Sie Ihr Grundstück in anderen Orten suchen, so sind wir Ihnen gerne behilflich.
Unsere Aktionshäuser

Bungalow 92
- ideal für alle Altersgruppen
- Kreativität freien Lauf lassen
- schlüsselfertig umgesetzt

Flair 110
- beliebter Haustyp
- praktisch und bezahlbar
- Wohnen in Urlaubslaune

Flair 180 Duo
- urbanes Lebensgefühl genießen
- massiv gebaut inkl. Schutzbrief
- schlüsselfertig mit Vollausstattung




