
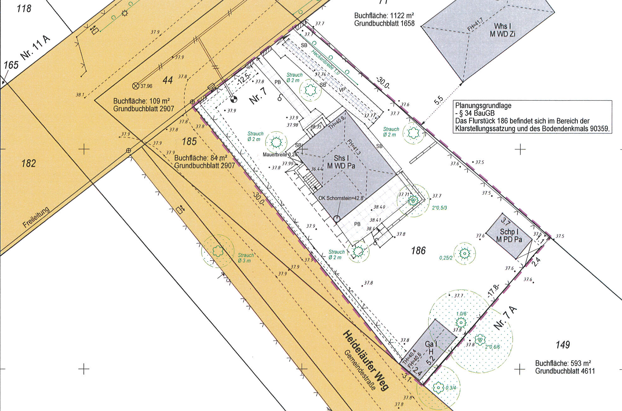
Baugrundstück
Erkner
Details rund um das Baugrundstück Erkner

Erkner ist eine Kleinstadt im Landkreis Oder-Spree in Brandenburg, die südöstlich an Berlin grenzt.
Das Baugrundstück befindet sich im Ortsteil Hohenbinde. Hier vereint sich Stadt und Land und ist somit eine ideale Destination für Ihren Lebensmittelpunkt und dies ohne Kompromisse.
Sie können sagen - Wir wohnen an der Spree!
Unsere Aktionshäuser

Bungalow 92
- ideal für alle Altersgruppen
- Kreativität freien Lauf lassen
- schlüsselfertig umgesetzt


Flair 180 Duo
- urbanes Lebensgefühl genießen
- massiv gebaut inkl. Schutzbrief
- schlüsselfertig mit Vollausstattung




