
Baugrundstücke
Friedland
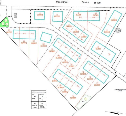
Details rund um das Baugrundstück Friedland

Das Baugrundstück befindet sich in Friedland inmitten der Natur. Suchen Sie Ruhe, mögen Sie viel Grün und haben keine Lust auf einen hektischen Alltag?
Dann bauen Sie doch genau HIER Ihr Eigenheim für die ganze Familie. Das Grundstück mit 728 m² hat eine schöne Größe und ist sofort bebaubar mit einem klassischen Einfamilienhaus, Bungalow oder einer Stadtvilla. Das Grundstück liegt in einem gerade entstehenden kleinen Baugebiet an einer befestigten Straße und ist voll erschlossen.
Unsere Aktionshäuser

Bungalow 92
- ideal für alle Altersgruppen
- Kreativität freien Lauf lassen
- schlüsselfertig umgesetzt

Flair 110
- beliebter Haustyp
- praktisch und bezahlbar
- Wohnen in Urlaubslaune

Flair 180 Duo
- urbanes Lebensgefühl genießen
- massiv gebaut inkl. Schutzbrief
- schlüsselfertig mit Vollausstattung




